SEAT TOLEDO 1.9 TDI
- Stock Vehículos Accidentados
- Referencia # 001058
- Marca Seat
- Matriculación 5 / 1999
- Color Rojo
- Caja de cambios Manual
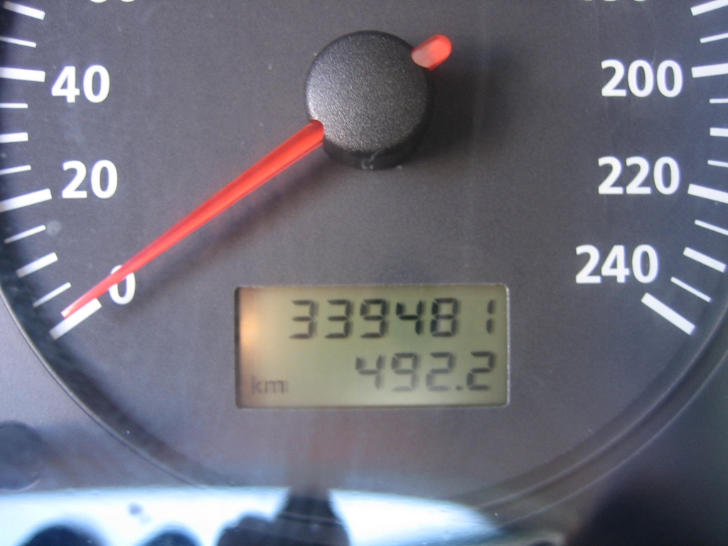
- Kilómetros 339.000 Km
- Potencia 110
- Combustible Diesel
- Vendedor Hostiauto
- Precio 1.500 €
Información SEAT TOLEDO 1.9 TDI
Observaciones SEAT TOLEDO 1.9 TDI
VEHICULO CON DAÑOS EN LA PARTE DE LA ALETA DELANTERA IZQ.
Fotos SEAT TOLEDO 1.9 TDI
- SEAT TOLEDO 1.9 TDI

- SEAT TOLEDO 1.9 TDI

- SEAT TOLEDO 1.9 TDI

- SEAT TOLEDO 1.9 TDI

- SEAT TOLEDO 1.9 TDI

- SEAT TOLEDO 1.9 TDI

- SEAT TOLEDO 1.9 TDI

- SEAT TOLEDO 1.9 TDI

- SEAT TOLEDO 1.9 TDI

- SEAT TOLEDO 1.9 TDI

- SEAT TOLEDO 1.9 TDI

- SEAT TOLEDO 1.9 TDI

- SEAT TOLEDO 1.9 TDI

Características Motor y cambio
- Caja de cambios ok
- Motor arranca
- Motor ok
